Où se cachent-ils?
Comment évaluer le niveau d’infestation ?
L’intensité d’une infestation de blattes peut être classée selon un niveau de gravité progressif.
Plus les indices sont visibles, nombreux et répartis dans le bâtiment, plus le niveau est élevé et plus l’intervention doit être structurée et globale.
Niveau 0 – Absence d’infestation
- Aucun insecte observé
- Aucun excrément ni oothèque détecté
- Aucune odeur caractéristique
Suspicion non confirmée après inspection technique.
Niveau 1 – Infestation faible
Présence d’indices indirects :
- Quelques excréments isolés (aspect poivre moulu)
- 1 à 2 insectes aperçus de manière occasionnelle
- Aucun foyer clairement identifié
- Aucune oothèque visible
À ce stade, l’intervention précoce permet généralement un traitement ciblé rapide (gel professionnel).
Niveau 2 – Infestation modérée
- Insectes visibles la nuit
- Excréments présents dans plusieurs zones (cuisine, salle d’eau)
- Découverte d’oothèques
- Activité localisée derrière électroménager ou sous évier
L’infestation est installée mais encore contenue.
Une intervention structurée avec traitement ciblé + régulateur de croissance est recommandée.
Niveau 3 – Infestation élevée
- Blattes visibles en journée (signe de surpopulation)
- Multiplication des foyers
- Odeur persistante
- Colonisation des gaines techniques
- Présence de nymphes et adultes
La colonie est active et bien implantée.
Une intervention rapide est impérative pour éviter la propagation vers les logements voisins.
Niveau 4 – Infestation très élevée Forte concentration d’insectes visibles
- Propagation étendue (plusieurs pièces, voire plusieurs logements)
- Présence massive d’oothèques
- Activité dans réseaux techniques et faux plafonds
- Risque sanitaire avéré (ERP, restauration, collectivité)
À ce stade, une stratégie d’intervention globale et coordonnée est indispensable.
Traitement multi-points + suivi renforcé + mesures correctives structurelles.
Les blattes
On les trouve en grande majorité : dans les cuisines et pièces humides, à proximité des sources de chaleur et d’alimentation.
Il est indispensable d’inspecter minutieusement les zones techniques et les appareils électroménagers.
- derrière et sous les réfrigérateurs, fours, lave-vaisselle
- sous les éviers et autour des siphons
- dans les plinthes, fissures et joints de carrelage
- dans les gaines techniques et coffrages
- dans les tableaux électriques
- dans les réserves alimentaires et cartons
- dans les locaux poubelles et zones de stockage
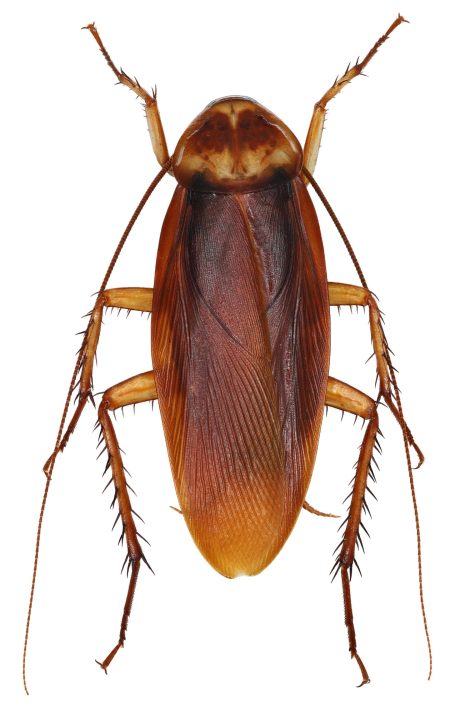
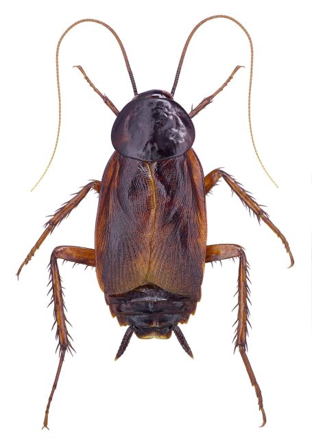
Description morphologique
Insecte de couleur brun clair à brun foncé selon l’espèce.
Corps ovale, aplati dorsoventralement, adapté aux espaces étroits.
Elle possède :
- 6 pattes longues et épineuses
- 2 antennes très développées
- 2 cerques à l’arrière de l’abdomen
Des ailes (présentes chez l’adulte, mais vol rare en intérieur pour certaines espèces)
Taille moyenne :
- Blatte germanique : 10 à 15 mm
- Blatte américaine : 30 à 40 mm
- Blatte orientale : 20 à 25 mm
Particularités biologiques
Les blattes sont :
- Nocturnes
- Lucifuges (fuient la lumière)
- Thigmotactiques (recherchent le contact avec les surfaces)
- Capables de se glisser dans des interstices de quelques millimètres
Une femelle peut produire plusieurs dizaines d’oothèques au cours de sa vie.
Les signes visibles dans l’habitat
La présence de blattes se manifeste souvent par des indices progressifs, parfois discrets au début, mais caractéristiques lorsque l’infestation s’installe.
On observe fréquemment :
- Des excréments noirs (aspect poivre moulu ou traces en virgule) le long des murs, dans les angles, sous les éviers ou derrière les appareils
- Des traces brunâtres graisseuses sur les surfaces de passage
- Des oothèques (capsules d’œufs brun foncé) dans les zones protégées
- Des mues translucides correspondant aux différents stades larvaires
- Une odeur persistante et inhabituelle dans les cas avancés
Les blattes privilégient principalement les zones chaudes, humides et confinées, à proximité immédiate d’une source alimentaire ou d’eau.
Insectes nocturnes et lucifuges, elles fuient la lumière et se dissimulent dans :
- Les interstices et fissures murales
- Les plinthes et joints de carrelage
- L’arrière des électroménagers
- Les gaines techniques
- Les coffrages et faux plafonds
- Les moteurs d’appareils
Ces indices doivent être pris au sérieux, car ils traduisent généralement une activité en cours.
Excréments de blattes : petits points noirs ou traces foncées concentrées le long des zones de passage.
Oothèque de blatte : capsule brunâtre contenant les œufs, souvent dissimulée dans les fissures ou sous les meubles.
Stades de croissance : présence de jeunes nymphes et de mues translucides indiquant une reproduction active.
Point d’alerte important
La présence de blattes visibles en journée est souvent le signe :
- D’une surpopulation
- D’un manque de zones refuges
- D’une infestation avancée
Une inspection technique permet de déterminer le niveau réel d’infestation et d’adapter le protocole d’intervention.
Impact sanitaire des blattes sur l’humain
Approche scientifique et données de santé publique
Les blattes (principalement Blattella germanica, Periplaneta americana et Blatta orientalis) sont reconnues comme vecteurs mécaniques de micro-organismes pathogènes et comme sources majeures d’allergènes domestiques.
Elles ne transmettent pas les maladies par piqûre (contrairement aux moustiques), mais par contamination indirecte.
Transmission mécanique d’agents pathogènes
Les blattes circulent dans :
- Réseaux d’égouts
- Locaux poubelles
- Canalisations
- Zones alimentaires
Elles transportent sur leurs pattes, leurs soies et dans leur tube digestif divers agents microbiens.
Agents identifiés dans la littérature scientifique :
- Salmonella spp. → salmonelloses
- Escherichia coli → infections digestives
- Shigella spp. → dysenterie
- Staphylococcus aureus
- Pseudomonas aeruginosa
- Entérovirus
- Spores fongiques
La contamination s’effectue via :
- Déjections
- Régurgitations
- Contact avec les surfaces alimentaires
Pathologies associées :
- Gastro-entérites
- Intoxications alimentaires
- Diarrhées infectieuses
- Infections opportunistes chez les personnes immunodéprimées
Le risque est particulièrement élevé en :
- Restauration collective
- Milieux hospitaliers
- Crèches
- EHPAD
Allergies et pathologies respiratoires
Les blattes constituent une source allergénique majeure en milieu urbain.
Les principaux allergènes identifiés sont :
- Bla g 1
- Bla g 2
- Bla g 5
Ces protéines sont présentes dans :
- Les excréments
- Les mues
- Les fragments corporels
Conséquences cliniques :
- Rhinite allergique
- Dermatite
- Asthme allergique
- Exacerbation d’asthme chez l’enfant
Plusieurs études épidémiologiques démontrent une corrélation forte entre la présence de blattes domestiques et l’augmentation des crises d’asthme pédiatriques en habitat collectif.
Impact psychologique et qualité de vie
Au-delà du risque infectieux et allergique, la présence de blattes génère :
- Stress chronique
- Troubles du sommeil
- Anxiété
- Sentiment d’insalubrité
Dans les cas sévères, cela peut altérer significativement la qualité de vie.
Classification sanitaire
Selon l’Organisation mondiale de la santé, les blattes sont considérées comme des nuisibles d’importance sanitaire en environnement urbain dense.
En France, l’Agence nationale de sécurité sanitaire de l’alimentation, de l’environnement et du travail reconnaît leur rôle potentiel dans la dissémination d’agents pathogènes et leur implication dans les allergies respiratoires.
Blattes : les bons réflexes pour éviter l’infestation
(Habitat – Restaurants – Collectivités – ERP)
Les blattes ne s’installent jamais par hasard.
Elles exploitent chaleur, humidité, résidus alimentaires et défauts d’étanchéité pour coloniser un bâtiment.
Adopter des mesures préventives structurées permet de réduire drastiquement le risque d’infestation, en particulier dans les environnements sensibles comme la restauration collective ou les établissements recevant du public.
À la maison : organisation et maîtrise des points sensibles
Le premier facteur de prévention reste la gestion de l’environnement.
Un logement encombré multiplie les zones refuges et complique la détection précoce.
Mesures essentielles :
- Nettoyer immédiatement les surfaces après préparation alimentaire
- Éliminer les miettes et résidus sous les appareils
- Sortir les déchets quotidiennement
- Stocker les aliments dans des contenants hermétiques
- Réparer rapidement les fuites d’eau
- Calfeutrer fissures, plinthes et passages de gaines
- Éviter l’accumulation de cartons
Les blattes recherchent prioritairement :
- humidité
- chaleur
- nourriture accessible
Supprimer ces trois facteurs limite fortement l’implantation.
Au restaurant et restauration collective : protocole renforcé
En milieu professionnel alimentaire, la prévention doit s’intégrer dans une démarche HACCP structurée.
Points critiques de maîtrise :
- Nettoyage approfondi quotidien des zones de cuisson
- Dégraissage régulier des plinthes et dessous d’équipements
- Aspiration des moteurs et compartiments techniques
- Gestion stricte des locaux poubelles (lavage + désinfection)
- Rotation et contrôle des stocks
- Inspection des livraisons avant stockage
- Vérification des siphons et grilles d’évacuation
Les blattes s’installent fréquemment :
- Derrière les chambres froides
- Sous les friteuses
- Dans les faux plafonds
- Dans les gaines électriques
- Dans les réserves sèches
Un plan de prévention doit inclure :
- Contrat de surveillance
- Pose de pièges témoins
- Traçabilité des interventions
- Registre sanitaire à jour
En collectivités (écoles, crèches, EHPAD, hôpitaux)
Les environnements collectifs présentent un risque accru en raison :
- Du volume alimentaire
- Des réseaux techniques complexes
- De la circulation importante
Mesures prioritaires :
- Inspection régulière des cuisines centrales
- Contrôle des locaux techniques
- Nettoyage approfondi des zones de stockage
- Maintenance préventive des installations
- Sensibilisation du personnel
Dans les structures accueillant des publics fragiles, la prévention doit être anticipative et non réactive.
Livraisons et approvisionnements : point d’entrée majeur
Les blattes peuvent être introduites par :
- Cartons contaminés
- Palettes stockées en entrepôt
- Matériel d’occasion
- Appareils électroménagers reconditionnés
Il est recommandé de :
- Déballer hors zone de production
- Éliminer immédiatement les cartons
- Inspecter visuellement les emballages
- Stocker sur étagères surélevées
Bâtiment : prévention structurelle
- Étanchéifier les passages de tuyauteries
- Installer des grilles anti-intrusion
- Maintenir une ventilation efficace
- Contrôler les vide-sanitaires
- Réduire les zones d’humidité chronique
Une simple fissure peut devenir un point d’ancrage.
© 2026 FAUNA CONTROL 3D – Tous droits réservés. Reproduction interdite.








