Comment reconnaître la chenille processionnaire du chêne ?
La chenille processionnaire du chêne est le stade larvaire d’un papillon nocturne, Thaumetopoea processionea. Elle représente un risque sanitaire majeur en raison de ses milliers de poils urticants microscopiques (soies), capables de provoquer des réactions cutanées sévères, des atteintes oculaires et des troubles respiratoires chez l’homme comme chez l’animal.
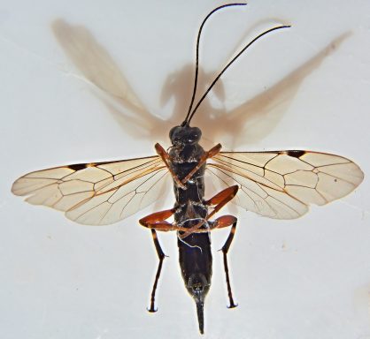
L’insecte adulte est un papillon nocturne d’environ 25 à 35 mm d’envergure. Ses ailes antérieures sont gris brunâtre, marquées de fines lignes transversales plus sombres. Les ailes postérieures sont plus claires, gris pâle à blanchâtres. L’adulte est discret, actif principalement durant l’été (juin à août).
Au stade larvaire (chenille), elle peut atteindre 3 à 4 cm au dernier stade de développement. Sa coloration est grisâtre à brun foncé, avec une ligne dorsale plus sombre et des flancs plus clairs. Le corps est recouvert de longues soies, parmi lesquelles se trouvent des poils urticants microscopiques, particulièrement volatiles. Ces soies contiennent une toxine (thaumétopoéine) responsable des réactions inflammatoires.
Pour un professionnel 3D comme Fauna Control 3D, l’identification terrain repose sur :
la présence de nids soyeux blanchâtres à grisâtres, plaqués contre les troncs ou les grosses branches de chênes (contrairement à la processionnaire du pin dont les nids sont en extrémité de branches),
des défoliations importantes des feuilles de chêne, pouvant aller jusqu’à une mise à nu partielle de l’arbre,
des processions sur le tronc ou au sol, généralement au printemps (avril à juin),
la présence de poils urticants persistants dans l’environnement même après disparition visible des chenilles.
Différence opérationnelle clé (approche Fauna Control 3D)
Contrairement à la processionnaire du pin :
- l’habitat est exclusivement lié aux chênes,
- les nids sont souvent plus discrets et fixés au tronc,
- le risque sanitaire urbain est élevé (parcs, écoles, collectivités),
- les soies peuvent rester actives plusieurs années dans les zones contaminées.

Chenille processionnaire du chêne
Analyse scientifique
détaillée
.....
Taxonomie et position systématique
- Ordre : Lepidoptera
- Famille : Notodontidae
- Genre : Thaumetopoea
- Espèce : T. processionea
Espèce oligophage principalement inféodée aux Quercus spp. (chêne pédonculé, sessile, pubescent, etc.).
Cycle biologique complet
Phase adulte (imago)
- Émergence : juillet – août
- Activité nocturne
- Durée de vie : 3 à 5 jours
- Ponte : 100 à 200 œufs en manchon spiralé sur rameaux fins
Les œufs hivernent jusqu’au printemps.
Phase larvaire (L1 à L6)
Éclosion : avril
Les larves passent par 6 stades successifs.
À partir du stade L3, apparition des soies urticantes spécialisées (setae de type III), logées dans des miroirs dorsaux orangés.
Longueur maximale (L6) : 30–40 mm
Phase nymphale
- Descente au sol en procession
- Enfouissement superficiel (5–20 cm)
- Diapause possible pluriannuelle
Morphologie et anatomie fonctionnelle
Cuticule et appareil urticant
Les poils urticants :
- Longueur : 100 à 250 µm
- Diamètre : 3 à 6 µm
- Structure creuse, barbelée
Extrêmement cassants et aérosolisables
Chaque larve mature peut porter 500 000 à 1 000 000 de soies.
Toxine impliquée
Thaumétopoéine
→ Protéine thermostable responsable de la réaction inflammatoire.

Quel est le danger
des chenilles processionnaires ?
.....
Mécanismes
physiopathologiques
chez l’humain
Voie cutanée
- Pénétration mécanique des soies
- Libération toxique locale
- Réaction histaminique
- Dermatite papulo-érythémateuse prurigineuse
Voie respiratoire
- Inhalation des microsetae
- Inflammation bronchique
- Bronchospasme
- Risque aggravé chez sujets asthmatiques
Voie oculaire
- Conjonctivite toxique
- Kératite mécanique possible
- Réaction systémique
- Rare mais documentée
- Œdème de Quincke
- Choc anaphylactique (exceptionnel)
Impact vétérinaire
Chez le chien :
- Hypersalivation
- Œdème lingual
- Nécrose partielle possible
- Détresse respiratoire
Urgence vétérinaire absolue.
Impact écologique et forestier
Défoliation
- Consommation foliaire massive
- Perte de surface photosynthétique
- Stress physiologique
Arbre sain : capacité de re-feuillaison
Arbre affaibli : vulnérabilité accrue aux agents secondaires (champignons lignivores, scolytes)
Prédateurs naturels de la chenille processionnaire du chêne
(Thaumetopoea processionea)
La chenille processionnaire du chêne fait partie d’un écosystème régulé naturellement par plusieurs prédateurs, parasitoïdes et agents pathogènes. En approche professionnelle 3D (lutte intégrée), ces auxiliaires constituent un levier biologique stratégique.
Oiseaux insectivores (prédateurs larvaires)
Espèces impliquées :
- Cuculus canorus (Coucou gris)
- Parus major (Mésange charbonnière)
- Cyanistes caeruleus (Mésange bleue)
- Upupa epops (Huppe fasciée)
Mode d’action :
Prédation directe des larves malgré la présence de soies urticantes.
Le coucou gris est particulièrement adapté : muqueuses résistantes aux poils urticants.
Les mésanges consomment les jeunes stades larvaires (L1–L3).
Intérêt opérationnel 3D :
Installation de nichoirs (≥ 1 pour 2 000 m² boisés) favorise la pression biologique.
Chauves-souris (prédation imagos)
Espèces fréquentes :
- Pipistrellus pipistrellus
- Myotis myotis
Rôle écologique :
- Capture des papillons adultes en vol nocturne.
- Réduction indirecte du potentiel reproductif.
Limite : impact partiel car activité saisonnière synchronisée avec l’émergence estivale.
Insectes parasitoïdes
Principaux taxons :
- Carcelia iliaca (Diptère Tachinidae)
- Ichneumonidae
Mécanisme :
- Ponte sur ou dans la chenille.
- Développement larvaire interne → mort de l’hôte.
- Taux de parasitisme variable (10–40 % selon biotope).
Approche experte : indicateur d’équilibre biologique forestier.
Arthropodes prédateurs opportunistes
- Fourmis (Formicidae) – prédation sur jeunes larves.
- Carabes (Carabidae) – attaque lors des déplacements au sol.
- Punaises prédatrices (Reduviidae).
Impact modéré mais complémentaire.
Agents pathogènes naturels
- Bactéries : Bacillus thuringiensis (Bt kurstaki)
- Virus entomopathogènes (NPV)
- Champignons (Beauveria spp.)
Ces agents peuvent provoquer des épizooties naturelles en cas de forte densité larvaire.
Limite écologique
Malgré ces prédateurs, les cycles éruptifs persistent car :
- Forte fécondité (100–200 œufs/femelle)
- Synchronisation larvaire
- Adaptation aux milieux urbains
En contexte urbain (parcs, écoles, collectivités), la régulation naturelle est souvent insuffisante, justifiant une stratégie combinée (piégeage phéromonal, échenillage mécanique, Bt).











